
圖檔提供/何瑞卿 蘇敏 撰文/紀 向

「在.樹 林」蘇 敏 ( 蘇 光 媛 ) 創 作 個 展
時間/2025.1.9~1.22
新 莊 文 化 藝 術 中 心 藝 術 廳 ( 新 北 市 新 莊 區 中 平 路 號 )

《現代藝術家蘇敏—卻以繪畫跨越時空存在呈現一種超現實時空的藝術」》
生命的叢林來過幾回
還是停留在生命轉角幽處徘徊
而你的夢
夢過幾回
而你的幾回夢又重複幾次
只是生命的執念
誰還不是堅持在你習慣的地方
如此一座森林
一處你經日隨身的地方
如此森林卻在不知不覺由邂逅開始而迷戀
卻也由迷戀而此融入生命的你
在此蘇敏「在森林」個展的發表
卻是不經意一句的「在森林」
卻讓你鋪陳無限思維的夢

森林在那裡
不過是路過的一片
每天你經過 看過也忽略過
也是你家屋的緊鄰
但是如此森林的一片或是森林的一角
卻也是你存在生命大協奏曲的一員
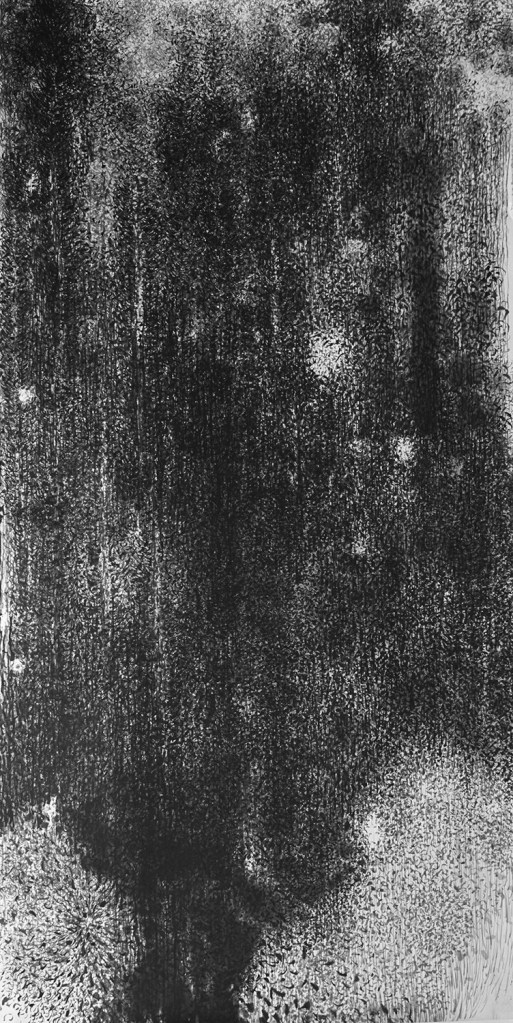
而在蘇敏的森林創作作品中
看過去的區域
卻不是單單一張橫鋪的畫作
因為在其作品劇場上
好像同時演出了不同段落的劇情
與其說如此是繪畫創作
我倒是寧願
以平面的自然舞台劇來看待

再讀蘇敏「在森林」創作展
我們卻讀出宛如散文一般的自然描述
也聽出不同時空自然的交疊
如是的演出
或讓你溫馨也會內心微微澎湃
因為暫時你無法在這單一時間以內消化
而此蘇敏系列「在森裡」作品
卻強迫的要你同時聆聽自然的不同元素
爾問你欣賞到讀到什麼
因為存在畫面會心的一切
會讓你如此感覺與感動
而我們就坐在舞台下的舒服座椅上
與創作者一同投入了如此自然的舞台劇情中

就劇場的演出劇目
或是就畫面呈現的主軸畫面而言
蘇敏卻以二維的創作本位
伸手探索一種時間多元交疊存在的可能
而如此藝術的表現
卻不止於超現實存在的表現
而是一種多元存在時空的超現代思維
或許如此是蘇敏每天面對工作室以外的經常
但是如此的畫面對於蘇敏而言
或者只是身邊林木森林的經過晾過而已
但是存在一種意識印象的畫面
卻能在此時此刻同一畫面中同時鋪陳
在此是不是說明了藝術家蘇敏的串連思維
卻是一個存在影像印象的記憶體

而藝術存在可能的不可能
不是古今中外藝術家大家一直在探索的
而在文明的當代新藝術新奇鬥豔
與新奇藝術居於形式的讓人親近
在此蘇敏的藝術
卻也執著於一種類文學的藝術探索
因為在他作品畫面以內
涵括了多少自然的血淚
只是我們在此
我們似乎與自然永遠阻隔了一層帳幕
然而如此蘇敏
卻在藝術極其傳統墨色水墨中
以自己強烈時空面對與細微自我思維
清楚開創了一個新水墨的溫情世界

因為在此蘇敏的畫畫創作
已不是單一敘述單ㄧ景緻事物作品而已
而是以其個人巧妙應用的繪畫熟練技巧
卻也適度集合應該是單一畫面的元素
蘇敏個人智慧揮灑於存在新水墨的創作上
如此一不同多元空間於多元視角的畫面中
在此蘇敏對於創作的元素
卻是一種存在有機的創作
如果再刻意的定位蘇敏的藝術
其實就純粹以現在新水墨面對是不足的

因為藝術的蘇敏與蘇敏的藝術
我們就離開狹義的繪畫
而以藝術的藝術來對待蘇敏
而此蘇敏如此的創作行徑
卻是清楚的讓藝術離開繪畫的本位
卻也是一種多元面對存在的蘇敏的藝術

蘇敏(光媛) Su Min(Su Guang-yuan)簡經歷
學歷:臺灣藝術大學造形研究所藝術碩士
經歷:1.兒童藝術教育2.彰化美術學會秘書長3.員林美術發展史副研究員
展歷:個展 01.南投文化局個展 台灣 南投市 文化局 02.台東文化中心個展 台灣 台東市 文化局 03.蘇光媛創作展 台灣 台北市 北投公會館 04.2020 沈靜的觸動–蘇光媛創作展 台灣 南投市 文化局 05.2021 黑中黑—蘇敏(蘇光媛)創作展 台灣 台中大墩文化局 06.2021 黑中黑—蘇敏(蘇光媛)創作展 台灣 彰化文化局員林演藝廳 07.2021 黑中黑—蘇敏(蘇光媛)創作展 台灣 南投竹山欣榮圖書 08.2023 黑中黑—蘇敏(蘇光媛)創作展 台灣 苗栗文化局 09.2024 黑中黑—蘇敏(蘇光媛)創作展 台灣 新竹市文化局 10.2024 山林對話-何瑞卿 蘇敏(蘇光媛)雙個展 台灣 南投虎山藝術館 11.2025 在.森林-蘇敏(蘇光媛)創作個展 台灣 新莊文化藝術中心
聯展 2022 邀請參加第二屆《國際新意美術交流展》國際網路在線展
獲獎 2023 台灣新貌獎 入選獎 2023 桃城美展 入選獎 2024 台灣新貌獎 入選獎


